Заповедная Россия
МИР ОСОБО ОХРАНЯЕМЫХ ПРИРОДНЫХ ТЕРРИТОРИЙ

Информационно-аналитическая система
ФГБУ "Национальный парк "Тункинский"
Растения
Растения и грибы (2023 г.)
Сцептридиум многораздельный [Гроздовник многораздельный]

Закрыть
Логин:
Пароль:
Регистрация
Забыли свой пароль?
Авторизация
Зарегистрироваться
Главная
Версия для печати
  • ООПТ РФ
  • Главная
  • Животные
    • Основная
    • Список животных
    • Схема охотустройства
    • - Численность
    • - Разрешения
    • - - 2025 год
    • - - 2024 год
    • Биотехния
    • Учетные работы
      • Основная
      • - 2025 медведь
      • - 2025 ондатра
      • - 2025 ВДПЛ
  • Растения
    • Основная
    • Список растений
  • Лес
    • Основная
    • Противопожарный план
    • Обустройство
    • Древесина 2025 г
    • Древесина 2024 г
  • Рекреация
    • Основная
    • План рекреации
    • Инфраструктура
    • Соглашения
    • Гид
      • Основная
      • Уведомление
      • Направить уведомление
    • Опрос
  • Контроль (надзор)
    • Основная
    • Контроль 2025
    • Партнеры
    • - Список
    • Общественный инспектор
    • Тестирование
  • Госзадание
    • Основная
    • Госзадание 2025
  • Летописи природы
    • Основная
    • 2025 год
    • Кадастр ООПТ
    • Метеоявления
  • Основная
  • Список растений
ФГБУ "Национальный парк "Тункинский"
Растения
Растения и грибы (2023 г.)
Сцептридиум многораздельный [Гроздовник многораздельный]

Список объектов растительного мира


Сцептридиум многораздельный [Гроздовник многораздельный]

Сцептридиум многораздельный [Гроздовник многораздельный]


Распространение (субъект РФ):  Республика Бурятия
Красная книга субъектов Российской Федерации:  Республика Бурятия 2003 г. / Республика Бурятия 2013 г. / Республика Бурятия 2023 г.
Красная книга Российской Федерации:  Нет
Латинское название:  Sceptridium multifidum (S.G. Gmel.) Nishida ex Tagawa [Botrychium multifidum (S.G. Gmel.) Rupr.]
Царство / Отдел / Класс:  Растения (Plantae) / Сосудистые растения (Tracheophyta) / Полиподиопсиды, или Многоножковые (Polypodiopsida)
Статус редкости:  3 - Редкие
Cтатус угрозы:  БУ - Находящиеся в состоянии, близком к угрожаемому (NT - Near Threatened)
Природоохранный статус:  III приоритет - достаточно общих мер, предусмотренных НПА РФ …
Меры по охране и восстановлению:  Мониторинг состояния популяций
Отряд:  Ужовниковые – Ophioglossales
Семейство:  Ужовниковые – Ophioglossaceae
Статус Хоз:  Не промысловый вид
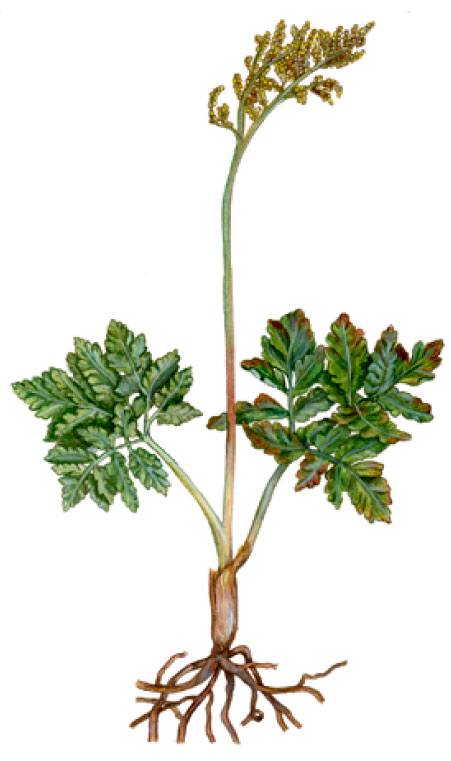
Описание:  Небольшое многолетнее растение, 10–20 см высотой, с укороченным корневищем. Надземная часть разделена на 1–3 вегетативные (стерильные) вайи и спороносную гроздь. Стерильная часть вайи на длинном черешке, в очертании дельтовидно-треугольная, с 2–6 парами перьев, толстая, кожистая, с неясно видимыми жилками, дважды или трижды перистая. Длина вайи 1,5–7,0 см, ширина – 2–11 см. Доли последнего порядка городчатые. Спороносная часть на черешке 5–15 см, дважды или трижды ветвистая на верхушке, иногда их развивается две. Спороносная часть отмирает после созревания спор, стерильная сохраняется под снегом до следующей весны [1, 2].
Распространение (Общие сведения):  Относится к реликтам плиоценовой флоры пребореальных широколиственных лесов [3, 4]. В Бурятии отмечен на южном побережье оз. Байкал в нижней части северного макросклона хр. Хамар-Дабан на территории Кабанского района в окрестностях сел Выдрино, Речка Выдрино, Танхой, Переёмная, Речка Мишиха, Боярск, и в долинах рек Осиновка мамайская, Большой Мамай, Аносовка, Осиновка танхойская, Безголовка, Переёмная, Мишиха и Левая Мишиха, устье р. Снежная [5–10]. Также известны местонахождения в центральной и северной частях Восточного Прибайкалья: в Прибайкальском (к югу от оз. Котокельское, в окрестности пос. Золотой Ключ, к северу от пос. Горячинск) [7, 11, 12], Баргузинском (бассейн р. Большой Чивыркуй) [13] и Северо-Байкальском (пос. Давша, водораздел рек Тыя и Холодная, дол. р. Большая) [1, 10, 14, 15] районах. В России распространен в Европейской части, на Урале, в Западной и Восточной Сибири и на Дальнем Востоке. Общий ареал циркумбореальный: встречается в зоне умеренного климата Северной Америки и Евразии [1, 2].
Распространение (по районам):  Республика Бурятия - СБ - Северо-Байкальский район / Республика Бурятия - КБ - Кабанский район / Республика Бурятия - БР - Баргузинский район / Республика Бурятия - ПР - Прибайкальский район
Распространение (по ООПТ):  Баргузинский заповедник / Забайкальский нацпарк / Байкальский заповедник
Места обитания и особенности экологии:  Разреженные хвойные и смешанные леса, долинные тополёвники, заросли кустарников, вырубки, замшелые луга. В Северном Прибайкалье отмечен на антропогенно нарушенных местообитаниях (обочины дорог, зарастающие просеки, грунтовые взлетные полосы аэродромов) [1, 14, 15]. На южном побережье Байкала встречается также на вторичных послелесных лугах (бывших покосах), просеках под ЛЭП и обочинах лесных дорог [9]. В горах поднимается до субальпийского пояса [13].
Лимитирующие факторы:  Антропогенные (природопользование в т.ч. незаконное)
1 Хвойные вечнозеленые (хвойных вечнозеленых пород более 80%):  П - плохие
2 Хвойные листопадные (хвойных листопадных пород более 80%):  П - плохие
3 Мелколиственные (мелколиственных пород более 80%):  П - плохие
4 Широколиственные (широколиственных пород более 30%):  П - плохие
5 Смешанные с преобладанием хвойных пород (хвойных пород 60 - 80%):  П - плохие
6 Смешанные с преобладанием мелколиственных пород (мелколиственных пород 60 - 80%):  П - плохие
7 Смешанные с присутствием широколиственных пород (широколиственных пород менее 30%):  П - плохие
8 Искусственно созданные (кроме посадок на месте вырубок):  П - плохие
9 Вырубки и зарастающие поля:  П - плохие
10 Вечнозеленые кустарники, в т.ч. высокогорные:  П - плохие
11 Лиственные кустарники:  П - плохие
12 Кустарничковые:  П - плохие
13 Кустарниковые:  П - плохие
14 Моховые, лишайниковые и травянистые:  П - плохие
15 Заболоченная тундра:  П - плохие
16 Верховые:  П - плохие
17 Травяные:  П - плохие
18 Трясины:  П - плохие
19 Луга:  П - плохие
20 Степи:  П - плохие
21 Полностью покрытые травой (камней, лесов или кустарников до 20%):  П - плохие
22 Высокогорные и с каменистыми россыпями (камней до 80%):  П - плохие
23 Горы без растительности:  П - плохие
24 Ледники:  П - плохие
25 Пустыни:  П - плохие
26 Пашни:  П - плохие
27 Луга сельскохозяйственного назначения (сенокосы и пастбища):  П - плохие
28 Заливные пашни:  П - плохие
29 Водотоки:  П - плохие
30 Водохранилища:  П - плохие
31 Озера, пруды:  П - плохие
32 С преобладанием леса (лес более 80%):  П - плохие
33 С преобладанием травянистой растительности (лес и кустарники до 20%):  П - плохие
34 Смешанный лесной:  П - плохие
35 Смешанный кустарниковый:  П - плохие
36 Береговой комплекс внутренних водных объектов:  П - плохие
37 Береговой комплекс внешних водных объектов:  П - плохие
38 Преобразованные и поврежденные участки (гари, торфоразработки, ветровалы и др.):  П - плохие
39 Промышленные и рудеральные комплексы, населенные пункты и др.:  П - плохие
Источник информации:  1. Флора Сибири, 1988; 2. Шмаков, 2009; 3. Епова, 1956; 4. Малышев, Пешкова, 1984; 5. Редкие и исчезающие …, 1980; 6. Краснопевцева, 2000; 7. Бойков и др., 2010; 8. Абрамова, Волкова, 2011; 9. Данные автора-составителя (Гамова Н.С.); 10. Материалы в Гербарии LE (г. Санкт-Петербург). 11. Материалы в Гербарии UUH (г. Улан-Удэ); 12. iNaturalist: observations/64935345; 13. Аненхонов, Пыхалова, 2010; 14. Л.В. Кривобоков, личное сообщение; 15. О.А. Аненхонов, личное сообщение; 16. Красная книга Республики Бурятия …, 2002; 17. Красная книга редких …, 1988; 18. Красная книга Республики Бурятия …, 2013; 19. Семенова, 2007; 20. Современное состояние …, 2003; 21. Интродукция …, 2017.
Координаты: 
загрузка карты...
 / 
загрузка карты...

Возврат к списку


Информационно-аналитические системы

Кроноцкий Заповедник
Заповедник Кроноцкий (Проект)
 
ИАС Заповедник Джергинский (Проект)
Заповедник Джергинский (Проект)
 
ИАС Нацпарк Красноярские столбы (Проект)
Национальный парк Красноярские столбы (Проект)
 
ИАС Национальный парк "Тункинский"
Национальный парк Тункинский
 

Партнерские геоинформационные системы

НП Тункинский
Гепортал НП Тункинский
 
Мир ООПТ России
Мир ООПТ России
 
   

Полезные ссылки

Минприроды России
Минприроды России
 
Росзаповедцентр
Росзаповедцентр
 
Заповедное путешествие
Заповедное путешествие (Экотуризм в России)
 
МАКС ООПТ
МАКС: Мир ООПТ oopt.space
 
НСПД
Национальная система пространственных данных
 
ФГИС ЛК
ФГИС лесного комплекса
 
Личный кабинет
 
 

Заповедная Россия
Мир особо охраняемых природных территорий
Информационно-аналитическая система